contattaci

3284927995

Subito Casa e Azienda S.A.S. di Massimiliano Baccari
Viale Europa, 16 - 46043
Castiglione delle Stiviere (MN)
agenzia@mysubitocasa.it

Ricerca

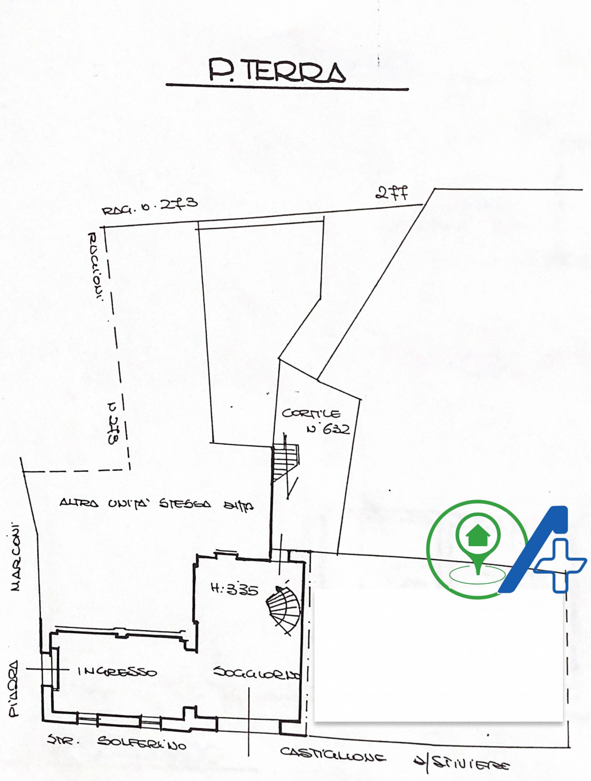
Stabile/Palazzo in Vendita a Solferino

560 mq 10 Locali 5 Camere 3 Bagni

Classe energetica

G
Codice: 5330 € 350.000

Nel centro storico di Solferino si trova questo stabile di circa 560 metri quadrati, suddiviso in 2 edifici distinti ma contigui, costruito ante 1967 e caratterizzato da un'architettura imponente.

L'edificio si sviluppa su tre piani, è composto da due edifici vendibili anche separatamente, prestandosi per una ristrutturazione al fine di ricavare due o più unità abitative.

Andiamo ora a descrivere separatamente le due unità:

1- L'immobile il cui accesso è dalla via XXIV Giugno è disposto su tre piani tutti fuori terra, di circa 115mq ciascuno ed è completamente da ristrutturare, ed è adatto a ricavare una grande abitazione indipendente oppure 2 o 3 unità abitative;

2- L'immobile il cui accesso è dalla piazza Guglielmo Marconi, attualmente locato ma in corso di liberazione, è disposto anch'esso su tre piani fuori terra ed è suddiviso da un locale ad uso commerciale al pian terreno e da un'abitazione di 4 locali più disbrigo e ampio terrazzo ai primo e secondo.

Nell'ottica di una ristrutturazione globale, finalizzata a ricavarne più unità abitative, nel blocco si presta ad un recupero edilizio di sicuro interesse commerciale .
Maggiori info previo telefonata e/o appuntamento .

Informazioni immobile
Codice: 5330
Contratto: Vendita
Tipologia: Stabile/Palazzo
Regione: Lombardia
Provincia: Mantova
Comune: Solferino
Prezzo: € 350.000
Totale mq: 560 mq
Camere: 5
Bagni: 3
Locali: 10
Stato conservazione: Da ristrutturare
Piano: Multipiano
Piani totali: 3
Riscaldamento: Autonomo
Appartamenti Totali: 2
Età costruzione: 1967
Stato attuale: Libero al rogito
Disponibile: Si
Posizione: Centrale
Caratteristiche
Terrazza: 60 m²
Copertura ADSL
Nelle vicinanze
Piste Ciclabili
Parchi Giochi
Trasporti Pubblici
Asilo
Scuole Elementari
Bar
Uffici postali
Uffici comunali
Mappa immobile

Contattaci

Subito Casa e Azienda S.A.S. di Baccari Massimiliano

viale Europa n.16
Castiglione delle Stiviere (MN)
Telefono 0376636157
agenzia@mysubitocasa.com

* Autorizzo il trattamento dei miei dati personali ai sensi dell'attuale normativa privacy e confermo di aver preso visione dell'informativa.

I campi contrassegnati con * sono obbligatori!

Ultimo aggiornamento 27-06-2025